The Yeilding Team
The Yeilding Team
About
Properties
Search
Sold
Contact
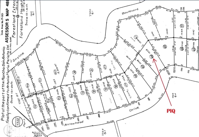
0 Arrowhead Drive, Oakland, CA 94611
Offered at $98,000
Build your dream home on this wonderful lot in Oakland Hills. Lot is next to 1880 Arrowhead. Great schools. Approx 2 miles to Montclair Village. Seller has survey, soil & tree reports.
request info
send to a friend
share this property