2860 Berwick Avenue, Gilroy, CA 95020

Offered at $380,000

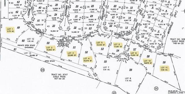
Spectacular setting in the gated community of Eagle Ridge Golf Club. Featuring 9 custom home lots ranging in size from 15,051 sq. ft. to 35,719 sq. ft. Prices range from $220,000 to 450,000. Many of the lots back to wooded open space. Lot 1 includes home drawings which have not been approved by the City of Gilroy or Eagle Ridge HOA. Eagle Ridge is a unique neighborhood offering activities for adults and children in addition to various social groups. Most activities are included in the low HOA dues. All lots are a short walk to community amenities including junior Olympic pool, tennis, pickleball and bocce courts, summer concert series at the large park with a playground, barbeque grills and sport court. All near the homeowner clubhouse. Golf leagues for women and men offered as well. There is something for everyone at Eagle Ridge. Enjoy the Eagle Ridge Lifestyle!